时间:2019-07-03 07:04:28
1、单选题 我国与一月份0℃等温线相一致的等降水量线是
A.1600mm
B.800mm
C.400mm
D.200mm
2、单选题 “人家半凿山腰住,车马多从头上过”这是黄土高原一项主要人文景观。此景观的塑造与当地哪一因素的关系最为密切(?)
A.农业
B.气温
C.土质
D.交通
3、单选题 图是某地区的地形图,回答题:
小题1:与长江三角洲、珠江三角洲等地区相比,图示平原地区成为商品粮基地的优势条件是
A.交通发达
B.单位面积产量高
C.水热条件好
D.人均耕地面积广
小题2:以下不属于该商品粮基地特点的是
A.以国营农场的经营方式为主
B.粮食商品率处于较低水平
C.已经形成粮食作物的地区专业化生产
D.是我国农业机械化水平最高的地区之一
小题3:城市P某家具厂生产的实木家具销往全国许多地方。影响该厂布局的主导因素是
A.原料产地
B.消费市场
C.廉价劳动力
D.高技术的研发人才
小题4:我国政府下令停止开垦当地的沼泽地,主要原因是
A.土壤十分贫瘠
B.开发的成本太高
C.粮食过剩,价格下降
D.为了保护和改善生态环境
4、单选题 自20世纪80年代以来,香港的劳动密集型制造业企业大量迁入内地。据此回答问题
小题1:这种产业转移(?)
A.是第三产业的转移
B.是技术指向型产业的转移
C.阻碍了迁入地的城市进程
D.可能对迁入地的环境造成污染
小题2:香港制造业企业迁移的原因有(?)
①香港地价较高?②内地服务业发达?③内地工资水平较低?④香港人口数量剧减
A.①②
B.①③
C.②③
D.②④
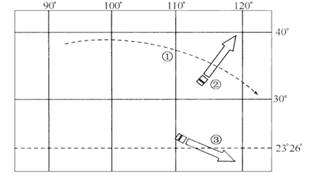
5、单选题 读资源跨区域调配路线图。完成下列问题。
小题1:图中①③资源调出区面临的主要环境问题分别是(?)
①荒漠化 ②水土流失 ③土壤盐碱化 ④空气污染
A.①②
B.②④
C.②③
D.③④
小题2:对上述跨区域资源调配的说法,正确的是(?)
①改善了调出区和调入区的能源消费结构
②提高了调出区的资源保护意识
③资源调配有利于调出区和调入区的生态、社会和经济的可持续发展
④跨区域资源调配的前提是市场需求
A.①②
B.②③
C.①③
D.③④