时间:2017-01-15 10:26:24
1、单选题 下图为我国两区域景观图。读图,回答下列各题。
【小题1】塑造甲、乙两区域地表形态的主要外力作用分别是( )
A.流水侵蚀、流水堆积
B.流水侵蚀、流水搬运
C.流水堆积、流水搬运
D.流水堆积、流水侵蚀
【小题2】图中( )
A.甲区域河流流量随气温变化而变化
B.甲区域自然植被种类比乙区域多
C.秋夜乙区域河面附近上升气流较强
D.冬季两区域河段的含沙量均较大
2、综合题 (20分)材料一:内蒙古河套平原由前套平原和后套平原组成,后套平原北靠阴山,南至黄河。从1869年至1925年,民间水利专家王同春创造了引黄灌溉的传奇,直到今天,他开创的“八大干渠”依旧灌溉着后套平原的万亩良田。
材料二:呼伦湖水系经额尔古纳河注入黑龙江,呼伦贝尔是我国重要牧区且矿产资源丰富。 下图为呼伦湖水系位置示意图。结合所学知识,完成下列各题。
(1)据材料一及图分析后套平原的形成过程。(6分)
(2)简析呼伦贝尔发展畜牧业的有利条件及适宜发展的具体产业部门。(10分)
(3)呼伦湖盛产的呼伦贝尔白鱼,其肉质鲜美的主要原因是(4分)
3、综合题 读“世界板块示意图”,回答下列问题:
(1) 写出图中字母所表示的板块名称
D??????????板块,E??????????板块,F??????????板块。
(2)喜马拉雅山脉是图中的?????板块和????板块(填字母)相互???(运动方式)形成的,安第斯山脉是图中的????板块和???板块(填名称)碰撞挤压形成的。
(3) 在AD板块相互碰撞的地带,常常形成(多选):?????????????(2分)
A、高大的山脉???? B、巨大的高原?? C、深邃的海沟??? D岛弧
4、单选题 岩石按成因可分为
A.花岗岩、玄武岩、大理岩
B.沉积岩、岩浆岩、变质岩
C.石灰岩、火山岩、片麻岩
D.侵入岩、喷出岩、砂岩
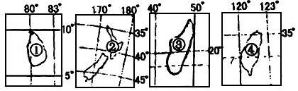
5、单选题 读下列四个岛屿图,判断下列题。
【小题1】四岛中,常年在西风影响下,呈温带落叶阔叶林景观的是( )
A.①
B.②
C.③
D.④
【小题2】处于板块消亡边界,多火山、地震的是( )
A.①②
B.②③
C.①④
D.②④