时间:2020-08-01 06:17:29
1、单选题 青藏高原的气候是一种特殊的高原气候,但利用大棚技术使得拉萨的瓜果蔬菜供应充足。根据材料和下图,完成1~2题。 
1、拉萨利用大棚技术种植瓜果蔬菜,主要是改善了当地的
[? ]
A、光照条件
B、热量条件
C、水分条件
D、土壤条件
2、拉萨原来不产西瓜,引种后发现:直接“铺”在地上生长的西瓜长不好,只有将西瓜藤蔓架空,西瓜“挂”着才能结果(如图所示)。西瓜“挂”着的原因是
[? ]
A、可以减少叶子对西瓜的遮掩,增强光照,促进光合作用
B、可以充分利用立体空间,节省土地、节省大棚面积,减少农业投入
C、土壤的湿度不够、干燥,直接"搁"在地上,容易使西瓜的水分蒸发
D、大棚内的地面温度比空气温度低,不有利于西瓜的发育成熟
2、单选题
我国海南岛利用光热条件,重点发展蔬菜,花卉的生产供应北京市,主要依赖
①交通运输条件的改善
②廉价的劳动力和土地
③优良的品质和政策优势
④农产品保鲜、冷藏技术的发展
3、单选题 读“某河流干流和流域范围示意图”。回答下列各题。
小题1:图中河流的甲——乙河段流域范围非常狭窄,其主要原因是?
A.泥沙淤积使河床过高,支流难以汇入
B.河流两岸被高山束缚,山高谷深
C.上游气候寒冷干燥,支流稀少
D.河流落差大,水流湍急
小题2:下列关于图中丙地区气候的叙述,正确的是?
A.气温年较差小,降水量季节变化明显
B.夏季受赤道低压带控制,冬季受东北信风带控制
C.地势起伏大,气候垂直变化显著
D.寒潮、台风等气象灾害频繁发生
小题3:该河流中、下游平原是重要农业区,影响其农业生产的优势社会经济条件是
①人口稠密,劳动力充足
②水、陆交通发达,便于粮食大量出口 ?
③历史悠久,种植经验丰富 ?
④地广人稀,土地租金低 ?
⑤科技发达,机械化水平高 ?
⑥人多地少,粮食需求量大
A.①②④
B.①③⑥
C.②④⑤
D.③⑤⑥
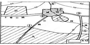
4、综合题 读图,完成问题(共10分)
(1)城镇周围要发展乳牛、花卉、小麦三种农业,请在图中A、B、C三个区位布局这三种农业,并说明你这样安排的理由。
A区应布局?业,理由是:?;
B区应布局?业,理由是:?;
C区应布局?业,理由是:?。?
(2)城镇周围要建设普通服装厂、面粉厂、自来水厂、酿造厂、造纸厂等五个工厂,请你在图中①②③④⑤五个区位安排①④工厂,并说明这样安排的理由。
①?厂,理由是:?;
④?厂,理由是:?;
5、单选题 读“我国1998~1999年棉花价格与棉花生产关系图”,完成下列问题。
小题1:导致我国1998~1999年棉花播种面积下降的直接原因是
A.全球气候变暖
B.农业劳动力缺乏
C.市场需求减少
D.国家政策的变化
小题2:我国1998~1999年棉花单位面积产量上升的主要原因是
A.气候条件适宜
B.交通条件改善
C.农业科技进步
D.土壤得到改良