时间:2020-03-17 07:26:49
1、综合题 读下图中甲、乙两图,结合所学地理知识分析回答下列问题。
(1)与b河比较,a河水文特征有什么不同及原因是什么?
_____________________________________________________________________________________________________。
(2)评价b河沿岸平原农业发展的自然区位条件。
_____________________________________________________________________________________________________。
(3)图中C河航运发达,简析其发展航运的区位条件。
_____________________________________________________________________________________________________。
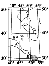
2、单选题 读下图,回答1—2题。 
1、对图中A、B所示地区的叙述,不正确的是
[? ]
A、本区是美索不达米亚(或两河)平原,是人类文明发祥地之一
B、本区是世界著名的灌溉农业区,代表性农作物是亚麻
C、河流a是底格里斯河,它注入波斯湾
D、B地区的房屋墙比较厚、窗子比较小
2、下列关于C湖东侧广阔平原地区的农业的叙述,正确的是
[? ]
A、受地中海气候影响,畜牧业发达
B、降水丰富,适宜水稻生长
C、气候干燥,阳光充足,适宜棉花生长
D、影响本区农业发展的主导因素是地形
3、综合题 读图并阅读材料,回答下列问题:
材料一? 环北部湾地区介于东亚与东南亚之间,包括广东省的雷州半岛、海南省的西部、广西壮族自治区的南部沿海和越南北部沿海地区,这里正在形成一个跨省区、跨国界的经济圈-- 环北部湾经济圈。将成为中国- 东盟开放合作的物流基地、商贸基地、加工制造基地和信息交流中心。
材料二?国务院2009 年12 月31 日发布了《国务院关于推进海南国际旅游岛建设发展的若干意见》,该意见提出了 “海南国际旅游岛”的“六大战略定位”:即中国旅游业改革创新的试验区,世界一流的海岛休闲度假旅游目的地,全国生态文明建设示范区,国际经济合作和文化交流的重要平台,南海资源开发和服务基地,国家热带现代农业基地。
材料三? 中南半岛等高线地形图(图1 )、中南半岛地形剖面图(部分)(图2 )、环北部湾经济圈区域图(图3 )、海南岛等高线地形图及三地气候图(图4 )。
(1)图2剖面图是沿图1中KL、MN、OP、QR四条线中的____________线绘制?中南半岛的地形地势特点及对水陆交通有哪些不利影响?
?_______________________________________________________________________________。
(2)甲、乙、丙分别是图4中a、b、c三处的气候资料,反映c 处的是____________ ;分析气候资料说明海南省发展热带农业的有利条件,应大力发展哪些特色农业?
_______________________________________________________________________________。
(3)分析图中①②两个城市共同的区位条件。?
____________________________________________________________________________。?
(4)简述海南建设国际旅游岛的区位优势和资源优势。
_______________________________________________________________________________。
(5)2010年1月1日中国-东盟自由贸易区正式建成。环北部湾地区是中国与东盟的结合部,应如何发挥区位优势,具体在哪些内容上向东盟在交通、能源开发、加工制造业、高科技领域投资或建厂?
_______________________________________________________________________________。
4、综合题 阅读分析材料,回答下列问题。
D湖泊(图a)的湖面海拔约3800米,降水资料如图b所示。D湖沿岸地区地形平坦,发现有大量古代农耕遗迹,包括相互交织的人工堆土高台、人工水渠(图c),以及人工运河和水塘。
(1)推测D湖沿岸地区气温的年变化、日变化特征,并简述原因。
________________________________________________________________________________________________________________________________________________________________
(2)归纳D湖沿岸地区的降水特征。
________________________________________________________________________________
(3)指出威胁D湖沿岸地区发展耕作业的主要气象灾害及发生时间。
________________________________________________________________________________________________________________________________________________________________
(4)说明该农耕系统对防治这些气象灾害的作用。
________________________________________________________________________________________________________________________________________________________________________________________________________________________________________________
5、综合题 下图分别示意某国局部地区自然要素与人口、城市分布。读图并结合所学知识完成下列各题。
(1)图中甲河流最终注入______________。
(2)A水电站建设的主要区位因素为_______________________________________________________。
(3)简析B地易发生滑坡、泥石流灾害的原因。
___________________________________________________________________________________________
(4)描述图示地区人口、城市的分布特点,并分析原因。
___________________________________________________________________________________________
(5)乙地区咖啡加工业发达,简析其有利的区位条件。
___________________________________________________________________________________________