时间:2019-12-22 04:10:24
1、单选题 相对于“内含式”而言,美国、加拿大、澳大利亚之所以采用“外延式”的城市扩容模式,其直接原因是( )
A.城市化水平高
B.人口数量多
C.人口密度小
D.经济发展水平快
2、单选题 国际上有两类城市化扩容模式,一类是以美国、加拿大、澳大利亚为代表的“外延式”,该模式建筑密度较低,主要在两维空间内扩大城市空间容量;另一类是以日本、新加坡和中国香港为代表的“内含式”,该模式既保持城区地面上较高的建筑密度,又充分开发利用地下空间。据此回答1~2题。
1、相对于“内含式”而言,美国、加拿大、澳大利亚之所以采取“外延式”的城市化扩容模式,其直接原因是
[? ]
A、城市化水平高
B、人口数量多
C、人口密度小
D、经济发展水平快
2、若我国也采用“外延式”的城市扩容模式,则
[? ]
A、城市中心区萎缩加剧
B、就业困难,失业人数增多
C、土地资源利用率降低
D、交通拥挤、居住条件差
3、单选题 ? 甲城的张小姐喜好国际名牌服装,每年春季都会乘坐3小时的客车到乙城购买新上市的品牌服装,今年她还顺便看望了专程到乙城住院的邻居。下列关于甲城、乙城的叙述,正确的是
[? ]
A、甲城的城市等级比乙城高
B、乙城的城市等级比甲城高
C、乙城的门槛人数少
D、甲城的城市规模大于乙城
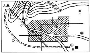
4、综合题 下图为“某城市规划图”,图中阴影部分为城市,该城市常年盛行西北风,读图,回答下列问题。(18分)
(1)图中的①②③④四地中,地租最高的是________________,该地地租高的原因是
______________________________________________________________________(5分)
(2)填表比较规划图中工厂的布置:(9分)
| 地点 | 企业 | 是否合理 | 判断理由 |
| ① | 化工厂 | ? | ? |
| ② | 商场 | ? | ? |
| ④ | 钢铁厂 | ? | ? |
5、单选题 一般来说,布局城市的理想环境是
A.山区河谷地带
B.平原地形
C.高原地形
D.丘陵地形