时间:2019-06-29 16:27:59
1、单选题 水准仪测量法是高程测量最精确的方法之一,它是利用水准仪提供一条水平视线进行测量的方法,如图甲所示进行测量。据图回答下题。
小题1:已测得A点的海拔为53.195米,通过水准仪A标尺的读数为1.386米,B标尺的读数为0.824米,判断B点的海拔高度及与A的相对高度分别是? ( )
A.54.581米、1.386米
B.55.405米、2.210米
C.53.757米、0.824米
D.53.757米、0.562米
小题2:图乙所示为一中学地理活动小组用简易方法测得的某地高程情况,如果该地降水丰富,根据图中信息判断,图示区域较大的溪沟可能有?( )
A.一条
B.二条
C.三条
D.四条
参考答案:
小题1:D
小题2:B
本题解析:
小题1:理论上,水准仪的水平面与海平面平行。先求水平面高度53.195米+1.386米=54.581米。减去B标尺读数0.824米,54.581米-0.824米=53.757米。即为B的海拔高度。A与B的相对高度即是A与B的海拔高度差53.757米-53.195米=0.562米。
小题2:选根据图中的点找出100、200、300米的点再连线,就可以看出图中367,244,160成山谷一线,345,256,145成山谷一线。选B正确。
本题难度:一般
2、单选题 下图是以极点为中心的半球图,下列判断正确的是( )
A.M点到N点的方向与F点到E点的方向正好相反
B.M点到N点的方向与F点到E点的方向相同
C.从F点到E点的方向是先西北后东南
D.从M点到N点始终沿西北方向
参考答案:D
本题解析:
从M点到N点是从西向东,从北向南,所以M点到N点方向就是从西北到东南。同理可知:从F点到E点实际是从东北向西南,M点到N点方向与F点到E点方向既相反,也不相同,排除A.B;从F点到E点就在向东走,向南走,也就是向东南走,C错;从图中的M点到N点就在向西走,向北走,也就是向西北走,D正确,所以本题D正确。
考点:本题主要考查经纬网及其地理意义。
本题难度:一般
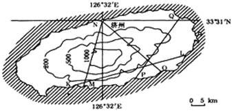
3、单选题 下图是韩国南端济州岛的等高线地形图和图中MN、NO、PQ、KL四线的地形剖面图。读图回答下列问题。
【小题1】与剖面线MN、NO、PQ、KL相对应的地形剖面图依次是( )

A.③④②①
B.④②①③
C.①③④②
D.④③①②
【小题2】图中岛屿在冬季降水量最多的位置最可能位于( )
A.L
B.Q
C.K
D.N
【小题3】图中济州与我国的上海的直线距离大约是( )
A.680km
B.480 km
C.280 km
D.180 km
参考答案:
【小题1】D
【小题2】D
【小题3】B
本题解析:
【小题1】图示地势中间高、四周低,MN穿过中间,海拔最高超过1000米,所以与④对应;NO穿过东部,中心为谷地,最高处接近500米,与③对应;PQ最高在200米左右,左侧坡度较缓,右侧较陡,与①对应;KL与PQ海拔相当,左侧坡度较陡,右侧坡度较陡,与②对应。故选D。
【小题2】岛屿冬季吹向西北风,西北地区为冬季迎风坡,降水量多,应为N点。故选D。
【小题3】上海市地处东经120°51′至122°12′,北纬30°40′至31°53′之间,上海与济州岛经度大致相差4°,纬度相差3°,利用经纬度之间间隔距离和勾股定理计算。故选B。
考点:等高线地形图、经纬网
本题难度:一般
4、单选题 下图为我国南岭山地中段的自然景观剖面图。读图,回答1~3题。
1.图中
[?]
A.1月平均气温由南向北逐渐降低
B.7月普遍高温,南北温差不大
C.降水主要集中分布在山地的北坡
D.低山丘陵为主,山河相间分布
2.与乙山相比,甲山垂直自然带更丰富的主要原因是
[?]
A.纬度更低
B.受冬季风影响更强
C.海拔更高
D.受夏季风影响更强
3.南岭地跨的省区有
[?]
A.湘、赣、桂、粤
B.赣、湘、渝、桂
C.湘、滇、闽、桂
D.闽、粤、湘、赣
参考答案:1.B
2.D
3.A
本题解析:
本题难度:一般
5、单选题 ? 下图为陕西宝鸡(34°N,107°E)到四川巴中(32°N,107°E)一线降水量和1月平均气温曲线图,完成(1)——(3)题。 
(1)判断下列四幅剖面图中与宝鸡到巴中实际剖面图最接近的一幅是 
[? ]
? A、①
? B、②
? C、③
? D、④
(2)若下图为上题谷地中某一天降水量与河流径流量变化示意图,其中最能反映集水区域内植被覆盖良
? 好的一条流量曲线是 
[? ]
? A、①
? B、②
? C、③
? D、④
(3)该谷地中的典型植被为
[? ]
? A、热带季雨林
? B、落叶阔叶林
? C、常绿阔叶林
? D、温带草原
参考答案:(1)A
(2)D
(3)C
本题解析:
本题难度:一般