时间:2019-06-29 15:59:43
1、单选题 35.读下表,判断
我国三个经济地带国内生产总值所占比重的变化(%)
| 年份 | 1980 | 1985 | 1990 | 1995 | 比重增减 |
| 东部 | 52.3 | 52.9 | 53.8 | 58.3 | +6.0 |
| 中部 | 31.2 | 31.1 | 29.8 | 27.6 | -3.6 |
| 西部 | 16.5 | 16.0 | 16.4 | 14.1 | -2.4 A.经济发展水平:东部>中部>西部 B.经济发展速度:东部>中部>西部 C.东部与中部、西部的差距越来越小 D.东部经济是正增长,中部、西部经济是负增长 |
中国三大自然区的区域差异及区域内部差异:
1、三大自然区的划分依据:
2、界限:
(1)西北干旱半干旱区与东部季风区大致以 400mm年等降水量线为界,大致是大兴安岭西侧—张家口—兰州—拉萨— 喜玛拉雅山东侧
(2)青藏高原区的范围与我国地势的第一阶梯吻合,大致以横断山脉、祁连山脉、阿尔金山脉和昆仑山脉为界
3、三大自然区特点:
三大自然区的内部差异:
1、东部季风区的南北差异
①形成:
②东部季风区
A.范围:包括第二级阶梯的黄土高原、四川盆地、云贵高原、横断山区,以及第三级阶梯上的沿海平原和丘陵地区。
B.地形地势: 海拔较低
C.气候:受季风影响显著;降水集中且有明显的季节变化
D.土壤生物:植被以森林为主,土壤发育好,生物种类繁多
E.水文:多外流河,主要是以雨水补给
F.人类活动:人类活动影响广泛而深刻,自然面貌发生了巨大的变化是我国主要的农耕区。
③东部季风区的南北差异:
2、西北干旱半干旱区东西差异
①西北干旱半干旱区内的同一性和差异性
②差异:
3、青藏高寒区的垂直差异:
①成因:夏季风和海拔高低
②水平差异:
③垂直差异:
中国三大自然区:

| 试题ID | 试题题文 |
|---|
参考答案:A
本题解析:略
本题难度:一般
2、单选题 看图回答下列各题。
小题1:一般情况下,河流R(?)
A.只有春汛
B.只有夏汛
C.只有秋汛
D.有春与夏(夏秋)各一次汛期
小题2:城市P是在大型能源基地基础上发展起来的,该能源基地是(?)
A.水电站
B.油田
C.天然气田
D.煤矿
小题3:与太湖平原、珠江三角洲等地区相比,图示平原地区作为商品粮基地的优势条件是(?)
A.单位面积产量高
B.人均耕地面积大
C.交通发达
D.水热条件好
小题4:城市Q某家具厂生产的实木家具销往全国许多地方,影响该厂布局的主导因素是
A.原料产地
B.消费市场
C.廉价劳动力
D.高素质的技术开发人员
参考答案:
小题1:D
小题1:B
小题1:B
小题1:A
本题解析:本题考查我国的区域地理。
小题1:根据图示的经纬度位置判断,该地区位于我国东北地区,故R河流受春季季节性积雪融水和夏季降水影响,形成双汛。
小题2:图示P为大庆,为石油产区。
小题3:东北平原地广人稀,人均耕地面积广,故商品率高。
小题4:图示城市Q靠近小兴安岭林区,故木材丰富,属于原料指向型工业。
本题难度:一般
3、综合题 读欧洲图回答:(20分)
(1)填出图中数字代表海峡名称:①______②_______③_____(6分)
(2)填出图中字母代表的城市名称: b?c ?d____________(6分)
(3)图中降水气温曲线代表罗马的是______(填 甲或乙),气候特征是_______________________。(4分)
(4)B国农业经济结构以___为主,该国地热资源丰富的原因是____________________________。(4分)
参考答案:
(1)英吉利海峡?直布罗陀海峡?土耳其海峡(每空2分)
(2)布鲁塞尔?柏林?莫斯科?(每空2分)
(3)甲?夏季炎热干燥,冬季温和多雨。(4分)
(4)渔业?位于两大板块交界处(4分)
本题解析:本题考查欧洲。结合图示海峡和城市所在的地理位置判断名称;
(3)罗马位于地中海沿岸,受地中海气候影响,雨热不同期,故甲图符合。
(4)B国为冰岛,由于所处纬度高,气候寒冷,故不利于种植业的发展,但海域广阔,且受北大西洋暖流影响,故渔业发达;由于位于亚欧板块与美洲板块的张裂地带,故地壳运动活跃,地热资源丰富。
本题难度:一般
4、单选题 2004年12月30日,中国西部大开发的标志性工程—西气东输工程正式投入商业运营。读我国西气东输主干管线工程示意图,据此完成问题。
小题1:西气东输的起止点是( )
A.准噶尔盆地—长江三角洲
B.塔里木盆地—长江三角洲
C.准嘴尔盆地—珠江三角洲
D.塔里木盆地—珠江三角洲
小题2:西气东输经过的地形区有:
①河西走廊②宁夏平原③黄土高原④渭河平原⑤华北平原
A.①②③⑤
B.②③④⑤
C.①③④⑤
D.①②③④⑤
小题3:西气东输管道的开通,对西部地区的好处有( )
A.变西部地区的资源优势为经济优势
B.拉动相关产业,激活沿途钢铁、水泥土建、机械、电子等工业的发展
C.提供大量劳力和资金,带动西部地区经济发展
D.解决西部能源紧张问题
小题4:A, B所在地气候类型分别是( )
A.温带大陆性气候,温带季风气候
B.地中海气候、亚热带季风气候
C.温带大陆性气候、亚热带季风气候
D.温带大陆性题气候、热带季风气候
参考答案:
小题1:B
小题2:A
小题3:A
小题4:C
本题解析:
小题1:西气东输从塔里木盆地的轮南到长三角的上海。
小题2:结合图示西气东输自西向东经过了A省区的塔里木盆地、F省区的河西走廊、宁夏平原、G省区所在的黄土高原;华北平原和长三角地区。渭河平原位于陕西省南部,没有经过。
小题3:注意“对西部的好处”,西气东输主要利用西部的资源开发、变资源优势为经济优势;A正确,带动电子工业发展错误,B错误;西气东输不能提供大量劳动力,C错误;西气东输主要缓解东部地区的能源紧张状况,D错误。
小题4:图示A位于新疆内陆,故判断为温带大陆性气候影响;B位于长三角地区,受亚热带季风气候影响。
点评:本题解题的关键是能结合图示提取有效信息,并掌握西气东输工程的概况,调用课本相关内容。
本题难度:一般
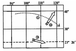
5、单选题 读我国三种资源跨区域调配路线示意图(图4),据此回答问题。
小题1:三条路线所经区域的叙述正确是
A.经过温度带最多的是路线②
B.经过大中城市最多的是路线①
C.经过地形区最多的是路线③
D.三条路线均经过少数民族自治区
小题2:关于线路①资源调出区的突出环境问题是
A.土地荒漠化
B.旱灾频繁
C.台风危害严重
D.地质灾害危害大
参考答案:
小题1:B
小题2:A
本题解析:
小题1:根据图中信息可知,①是西气东输,②是南水北调,③是西电东送。经过温度带最多,经过大中城市最多的西气东输;南水北调不经过少数民族地区。符合题意的是B项。
小题2:根据图中信息可知,①是西气东输,从新疆的轮南到上海,调出区在西北地区,主要是土地荒漠化问题。
本题难度:一般