时间:2019-06-29 14:43:37
1、综合题 读我国局部地区地形分布图回答下列问题(共17分)
(1)在下表中填出图中字母所在地的地形区名称(4分)
| A | D | E | F |
| ? | ? | ? | ? |
参考答案:(1)准噶尔盆地?云贵高原?长江中下游平原?东南丘陵(江南丘陵) (4分)
(2)(4分)略
(3)地处内陆,降水少,云少,大气对太阳辐射的削弱作用弱,太阳辐射强(2分)
昼夜温差大(2分)
(4)高寒气候(2分)
(5)地处我国第一阶梯与第二阶梯的过渡地带(2分)河流落差大,流速快(1分)
所以水能资源丰富。
本题解析:本题考查我国的局部地形区。(1)结合区域轮廓和省区轮廓可判断。(2)查地图明确我国重要山脉的位置。(3)新疆温带大陆性气候,降水少,光照强,温差大,利于糖份积累。(4)G表示青藏高原,地势高,故气候寒冷。(高寒)。(5)河流水能资源与地形的关系:地势落差大,则水能资源丰富。
本题难度:一般
2、综合题 南水北调示意图
(1)东线方案主要缓解我国水资源短缺的________地区的用水紧张状况。图中A、B、C各段水道中能够自流输水的是________段。
(2)三条线路中,水质最差的是________线。
(3)南水北调产生生态效益是,增加调入区城市________和________,美化环境,改善城乡居民的卫生条件。缓解________大幅度下降趋势和漏斗面积进一步的扩大,控制________。
(4)解决上述地区缺水水问题,除了跨流域调水外,你认为还可以采取哪些措施?
(5)与南水北调工程中线和西线方案相比较,东线工程的优势和劣势条件是:
(6)南水北调西线工程的最大障碍是:
A.秦岭山脉?B.昆仑山脉?C.巴颜喀拉山脉? D.祁连山脉
(7)近年黄河下游断流现象未再发生,这主要是因为
A.下游地区降水补给充足? B.跨流域调水,紧急补充
C.上游地区大力节水? D.加强全流域水资源利用的综合调度管理
参考答案:
(1)华北?C
(2)东线
(3)生活用水?工业用水?地下水位?地面沉降
(4)修水库;节约用水;防治水污染
(5)优势:可利用京杭运河等天然河道作为输水渠道,投资省,建设周期短
劣势:需建梯级提水设施,营运需要大量电能;沿岸工农业发达,排污量大,使北调水质较差
(6)C
(7)D
本题解析:略
本题难度:简单
3、综合题 宁夏传统民居多坐北朝南,墙体较厚,一般不设北窗,南面窗户较大,屋顶坡度较小。分析宁夏传统民居建筑特色形成的地理原因。(10分)
参考答案:宁夏地处西北内陆,降水少,所以屋顶坡度较小;(3分)冬季严寒且漫长,冬春干旱多风沙,盛行偏北风,故不设北窗、墙体较厚以防风、保暖;(4分)南面窗户较大,以便采光和冬天接受更多的阳光,提高屋内温度。(3分)
本题解析:考查西北民居形成的地理原因.坐北朝南南面窗户较大是为了采光;墙体较厚,一般不设北窗是为了防风沙和保暖;屋顶跨度较小,是由于地处内陆,降水少等.
本题难度:一般
4、单选题 该图是海南岛水系图,据图完成问题。
小题1:根据图中信息判断,该岛的地势特征是
A.西高东低
B.北高南低
C.四周高,中间低
D.中间高,四周低
小题2:该岛蔬菜生产的“旺季”出现在冬季,形成这一现象的主要原因是
A.市场、热量
B.科技、热量
C.市场、水分
D.交通、水分
小题3:青藏高原由于海拔高、气温低,致使动植物具有耐寒的特征,这体现的区域特征是
A.开放性
B.差异性
C.整体性
D.联系性
参考答案:
小题1:D
小题2:A
小题3:C
本题解析::
小题1:根据图示水系呈放射状水系,判断该岛屿地形中高周低。
小题2:由于冬季北方地区纬度高,热量条件不足,故北方不适宜种植蔬菜,而形成了广阔的市场,而该岛所在地区纬度低,热量条件充足,适宜蔬菜种植。
小题3:地形地势影响气候,进而影响植被的分布,判断为自然环境的整体性特征。
点评:本题解题的关键是掌握我国区域地理的基本概况和自然环境的整体性表现。
本题难度:一般
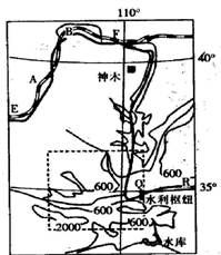
5、综合题 材料?黄河流域是中华文明的发源地,见图。
(1)图中水利枢纽Q对R河下游的有利影响有哪些?(8分)
(2)概括图中EF段铁路线的分布特点。(2分)
(3)在利用水资源发展农业生产过程中,最容易使图中A,B附近地区土壤出现的环境问题是?。图示地区在发展农业生产时,对流经该地区的河流可能产生哪些不利的影响? (10分)
参考答案:(1)调节径流的变化,具有防洪、灌溉和发电的功能;使下游河流含沙量减少,减少河床淤积。(8分)
(2)沿黄河分布。(2分)
(3)次生盐碱化?大量引水灌溉,造成河流的中下游水量减少甚至出现断流;农业生产过程中施用化肥和农药使河流遭受污染;过度放牧和垦殖导致土地荒漠化和水土流失,使河流泥沙含量增加。(10分)
本题解析:略
本题难度:一般