时间:2019-06-28 14:32:10
1、综合题 下图是我国东部某地等高线地形图,某校高中学生夏令营在图示区域进行了野外天文、地质、植被、聚落等综合考察活动。读图回答下列问题。
(1)同学们沿图中的登山线路行进,观察到沿途植被垂直变化不大,你认为主要原因是什么?____________________________________________________________________________
________________________________________________________________________________
(2)同学们把夜晚宿营地点
选在图中A处,从图中提供的信息简述理由。
________________________________________________________________________________
(3)图示地区拟建一火情瞭望台,最佳位置应在________处。
(4)若考察小组在D处突遇泥石流,①②③④四条逃生线路中最佳的是________。突临的一场暴雨,使位于B处的营员小明迷了路。请你给他一个独自走出深山密林的最佳办法。
________________________________________________________________________________
2、综合题 下图a、b、c为等值线,若值a>b>c,请回答:
(1)设该图示为等温线图,则:
①该地位于_____ 半球,若该处是陆地,此图反映的时间为____月,此时太平洋上形成?气压。
(2)设该图示为等高线图,则:
①该地形是____?。②下面所示的剖面图中属CD剖面图的是? ______ 。
③B处气压比D处_________?
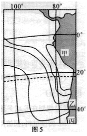
3、单选题 图5中曲线为某海域等年降水量线,读图5完成7-9题。
小题1:图示海域年降水量数值分布的主要特点是
A.由近海向外海递增
B.由近海向外海递减
C.由南向北递增
D.由中部向四周递减
小题2:若要推断乙地的气候类型,着重考虑的因素有
A.洋流、地形、大气环流
B.经度位置、纬度位置、海陆位置
C.天气状况、人类活动、地形
D.纬度位置、海陆位置、大气环流
小题3:根据自然带分布规律判断,甲、丙两地自然带分别为
A.热带草原带亚热带常绿硬叶林带
B.热带荒漠带温带落叶阔叶林带
C.热带雨林带亚热带常绿阔叶林带
D.热带草原带温带荒漠带
4、综合题 下图为“某大陆西侧海面平均水温(℃)分布示意图”。读图完成下列问题。(共15分)
(1)此海区位于________(南或北)半球。
(2)用洋流符号(暖流→,寒流
)在图上画出该海区洋流的分布;如果该海域位于东北太平洋,则这两支洋流的名称分别是________和________。
(3)图中A处以北的沿海地带为________气候,附近的洋流对该气候的形成起了________作用。
(4)地球上具有此种分布模式的海区是(双选)? ( )。
A.欧洲西侧中纬度海区
B.北美洲西侧中纬度海区
C.非洲西侧中纬度海区
D.南美洲西侧中纬度海区
(5)图中A附近的海域是否会形成世界大渔场?为什么?
5、综合题 下图为我国某区域等温线图,读图完成下列问题。(11分)
(1)甲地与乙地纬度仅相差2°,但气温差异却很大,试分析甲地冬季气温低的原因。(3分)
(2)简述图中甲地农业生产的特点,并指出乙地周边地区农业发展面临的主要问题。(5分)
(3)至少说出4种图示区域发展工业可使用的优势原料和对应的主要工业部门。(3分)