时间:2019-06-28 13:41:50
1、单选题 下列企业中,对水源和大气都可能产生严重污染的是(?)
A.炼油厂
B.造纸厂
C.水电厂
D.水泥厂
参考答案:A
本题解析:
本题考查工业的污染类型。炼油厂对水源和大气都产生污染,造纸厂主要污染水源,水电厂不产生污染,水泥厂产生大气污染和固体废弃物污染。所以本题选择A选项。
本题难度:简单
2、单选题 关于聚落的叙述,正确的是
[? ]
A、聚落仅指房屋建筑的集合体
B、聚落主要指乡村,不包括城市
C、聚落是指人类从事生产和生活而聚居的场所
D、各种住宅、商店、工厂、仓库等都是聚落,而道路、广场、公园、运动场均不属聚落的范畴
参考答案:C
本题解析:
本题难度:简单
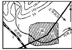
3、综合题 如图为某城市布局规划图,读图回答:(12分)
(1)自来水厂建在___________(字母),理由是_______________________。
(2)火力发电厂建在___________(字母),理由是_____________________。
(3)印染厂建在___________(字母),理由是_________________________。
(4)服装厂建在___________(字母),理由是_________________________。
参考答案:(1)C?处在河流上游,水质好 (3分)
(2)D?靠近“去淮南”的铁路,煤炭运输方便;处在主导风向的两侧。(3分)
(3)B?印染厂对河流有污染,故布局在河流下游(3分)
(4)A?劳动力充足,方便上下班(3分)
本题解析:本题考查工业布局。自来水厂应布局于河流上游,水质好!火电厂有大气污染和固体废弃物污染,应布局于主导风向的下风向或垂直风向的郊外;结合经济效益分析;印染厂为水污染企业,故应分布在河流下游,减少对城市的水污染。服装厂生产基本无污染,故可布局于市区,劳动力资源丰富。
本题难度:一般
4、综合题 图17是某古镇居住用地、工业用地、仓储用地和省道改线的两个规划方案图。读图回答下列问题。(10分) 
(1)两方案中仓储用地布局的共同特点是?,原因是?。(3分)
(2)省道改线的目的有?。(3分)
(3)试从拟建省道占用基本农田情况对两个方案作对比评价。(2分)?
(4)两个方案中功能分区较合理的是?。(2分)
参考答案:
(1)布局在交通干线附近?货物运输量大
(2)保护古镇;提高省道交通流量;减轻古镇交通污染。
(3)方案一不占用基本农田;方案二占用基本农田。
(4)方案一
本题解析:
本题重点考查了学生对城乡规划中土地利用、项目选址、功能分区的主要原则和基本方法的掌握、对工业、农业、交通运输业等的布局原则理解。并在方案的优化比较中考查学生运用所学知识,解决实际问题的能力。
(1)仓储用地的选择要考虑方便货物的输入输出,并要减少交通运输量,应选择在交通干线或枢纽地带。
(2)交通线路的设计要考虑通行方便、联系居民点同时减少对耕地占用、保护土地资源,避免破坏文物古迹、提升交通运输能力、减少环境污染等多重因素。
(3)从保护土地资源、减少对耕地占用看方案一不占用基本农田;方案二占用基本农田。
(4)综合考虑对城乡规划中土地利用、项目选址、功能分区的主要原则及对工业、农业、交通运输业等的布局原则,方案一更有利于该区域经济、社会、生态的可持续发展。
本题难度:一般
5、综合题 读某城市(盛行风为东北风与西南风)示意图,回答问题。
(1)甲、乙、丙、丁四地中最有可能成为商业中心的是___________,理由是______________________。
(2)甲、乙、丙、丁四地中适宜建设高级住宅区的是___________,理由是______________________。
(3)甲、乙、丙、丁四地中适宜建设仓储批发中心的是___________,理由是______________________。
(4)在丁处规划建设自来水厂,请分析该规划是否合理,并说明理由。
参考答案:
(1)乙?位于市中心,交通便利,接近消费人群。
(2)甲?位于湖泊附近,环境质量较好,且交通便利
(3)丙?地处市区外缘,地价较低,且邻近主要交通干线,交通便利。
(4)不合理?丁地位于河流的下游地区,水质较差
本题解析:本题考查城市功能区的合理布局。
(1)商业中心适宜布局在市中心,接近最大的消费人群,市场广阔,且交通便利;
(2)高级住宅区适宜布局在环境优美、交通便利的地方。
(3)注意是仓储式批发中心,适宜布局在城市的边缘,交通便利的地方,便于商品的流通,且地价较低;
(4)自来水厂适宜建在河流上游,水质好。
本题难度:一般