时间:2019-06-26 15:12:12
1、单选题 电子地图实际是一种计算机应用软件,它是建立在基础之上(? )
A.GIS
B.GPS
C.RS
D.SOS
2、单选题 下列活动中,最有可能应用遥感技术的是:
A.人口统计
B.工业产品数量统计
C.因特网信息传输
D.洪水淹没范围监控
3、单选题 2014年1月3日,“泰山站”完成主体封顶。2月8日上午11点国家海洋局宣布,中国南极泰山站正式建成开站。泰山站位于中国南极中山站与昆仑站之间的伊丽莎白公主地,坐标:东经76°58′,南纬73°51′,海拔高度2621米。回答下题。
可精确测量该站的地理坐标和海拔高度的地理信息技术是
A.GPS
B.RS
C.GIS
D.数字地球
4、单选题 GPS 是进行野外考察与探索的重要工具,其作用是
A.随时知道自己所在的地形
B.随时知道自己所在地的气候
C.随时知道自己所在地的地理坐标
D.随时知道自己所在地的水文状况
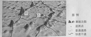
5、单选题 下图为利用现代地理信息技术制作的我国东部某城市一城区月交通事故次数示意图。完成下列问题。
小题1:关于该图制作与应用的叙述,正确的是
A.遥感技术获取交通事故信息,确定监测点分布
B.全球定位系统确定事故的位置,预测交通流量
C.地理信息系统査询事故频次,分析出警最优路径
D.数字地球技术,实现事故的监测与灾害的评估
小题2:根据图中交通网络,可以推断该地区
A.甲地是城市中央商务区所在地
B.乙地适宜建设重化工业区
C.商业网点密度东部大于西部
D.对外联系主要通道在南面