高考地理试题《地球》考点预测(2019年押题版)(三)

时间:2020-01-16 08:33:43

微信搜索关注"91考试网"公众号,领30元,获取事业编教师公务员等考试资料40G

1、单选题  图为半球示意图,a为昏线。图中表示地球绕日公转方向的箭头正确的是(    )

A.①
B.②
C.③
D.④


参考答案:B


本题解析:读图可知,位于北半球,a为昏线,由此可知④为18:00,①为0:00,同时①为于180°经线,全球为于同一天,
考点:地球运动的地理意义。


本题难度:困难



2、单选题  关于太阳高度的正确叙述是
A.昼半球各地太阳高度都大于0度
B.晨昏线上,太阳高度小于0度
C.某一地点,一天中太阳高度不会发生变化
D.纬度高的地方太阳高度总是较大


参考答案:A


本题解析:
本题考查太阳高度的概念。太阳光线与地平面的夹角为太阳高度角,简称太阳高度。昼半球各地太阳高度都大于0度;晨昏线上,太阳高度等于0度;一天当中,正午太阳高度最大;距离直射点的位置越近,太阳高度越大。所以本题选择A选项。


本题难度:简单



3、综合题  读图(地球俯视图),回答以下问题:(12分)

(1)太阳直射点的纬度是?
(2)点C的地方时为??时,点A地方时为?时,点A的昼长为?小时,日落时间为?时。
(3)A、B、C、D四点中,正值日出的是?点,处于昏线上的点有?
(4)此日,正午太阳高度达到一年中最大的点是??,E点的正午太阳高度大小为??。北京正午时刻旗杆的影子朝向是?(向北/向南)。


参考答案:(1)23°26′N?(2)12时? 21时? 18小时? 21时?(3)B点? A点和D点?(4)A点和C点? 66°34′?向北


本题解析:(1)图示自转方向呈逆时针,判断为北半球;根据图示的晨昏线分布判断晨昏线与极圈相切,北极圈内为极昼,故判断为北半球的夏至日,故太阳直射北回归线。(2)图示C点所在纬线为昼半球的平分线,故地方时为12时。结合D点为昏线与赤道的交点为18时,故推算A点较D点东侧45°,故地方时较D点早3个小时,为21时。此时为A点的日落时间,故判断A点的下午为12:00---21:00,故计算昼长为18小时。(3)根据自转方向判断,经过晨昏线AD即将进入夜半球,故判断A、D点位于日落时,而B点即将进入昼半球,故判断为日出时。(4)图示太阳直射点位于北回归线上,故北回归线以北地区,正午太阳高度达一年中最大值,故选AC点。正午太阳高度=90°-纬度差计算即可。北京位于北回归线以北地区,故正午太阳始终位于其正南,故日影终年朝北。
点评:本题解题的关键是掌握晨昏线图的基本判读方法和时间计算、正午太阳高度计算等地球运动意义分析的一般规律,注意及时总结规律,利用知识规律解题,形成分析思维。难度一般。


本题难度:一般



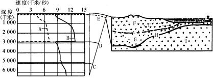
4、综合题  读图回答问题。(10分)

(1)代表地震波传播速度随深度变化的曲线:A?,B?。(填 “纵波”“横波”)。
(2)地壳的上层F是?层,下层G是?层,F层与G层密度的比较是F?G(填“>”、“<”或“=”)。
(3)D、E是地球内部分层的界面,D是?面,E是?面。在D界面随深度增大,横波发生的变化是?,纵波发生的变化是?
(4)一般认为I层的物质组成是?的硅酸盐类矿物。


参考答案:(1)横波、纵波?(2)硅铝层、硅镁层、<?(3)古登堡面、莫霍面、突然消失、迅速降低?(4)铁、镁


本题解析:本题考查地球的内部圈层。(1)图示A波的传播速度较B波慢,故判断A表示横波,B表示纵波。(2)图示地壳的上层为硅铝层,而下层为硅镁层。由于硅铝层密度小,故分布于上层。(3)图示D位于地下约2900KM深处,为地幔和地核的分界面表示古登堡界面,而E表示地幔和地壳的分界面,为莫霍界面,图示D界面以下横波消失,而纵波的速度也明显下降。(4)图示I层表示地幔,组成物质为含铁、镁的硅酸盐类矿物。


本题难度:一般



5、单选题  下图为“我国甲、乙、丙三地某年内的日出时刻变化曲线图”,图中的a、b、c、d、e代表节气,其中a为秋分。读图回答1—2题。

1、下列三地按地理方位由南到北的顺序是
[? ]
A.甲、乙、丙
B.甲、丙、乙
C.丙、乙、甲
D.乙、丙、甲
2、下列关于图中信息表述正确的是
[? ]
A.a和c代表的节气相同
B.甲、乙、丙三地中,甲地位于最东方
C.一年内,总是甲地最先看到太阳
D.三地中,丙地位于东七区


参考答案:1、C
2、B


本题解析:


本题难度:简单




首页 上页 2 3 4 下页 尾页 3/10/10
微信搜索关注"91考试网"公众号,领30元,获取公务员事业编教师考试资料40G
【省市县地区导航】【考试题库导航】
 ★ 高考省级导航 ★ 
全国 A安徽 B北京 C重庆 F福建 G广东 广西 甘肃 贵州 H河南 河北 湖南 湖北 黑龙江 海南 J江苏 江西 吉林 L辽宁 N内蒙古 宁夏 Q青海 S山东 山西 陕西 四川 上海 T天津 X新疆 西藏 Y云南 Z浙江
 ★ 高考信息汇总 ★ 
 ★ 高考历年真题 ★ 
 ★ 高考历年真题 ★ 
 ★ 高考题库 ★ 
 ★ 高考题库 ★ 

电脑版  |  手机版  |  返回顶部