时间:2020-01-16 07:49:35
1、单选题 降水变率是降水平均偏差与多年平均降水量的百分比,是衡量降水稳定程度的指标。读下图“新疆降水变率等值线图”,完成问题。
1.图中四地降水最稳定的是2.上述地点与其他三地相比降水最稳定的主要影响因素是
A.①
B.②
C.③
D.④
E.纬度位置
F.大气环流
G.海陆位置
H.地形
2、单选题 下图是“某国地形剖面图”,据此回答下列小题。
【小题1】下图中四条剖面线,与上图剖面吻合的是( )
【小题2】对上图所示地区地理状况叙述正确的是( )
A.①地形区西临大西洋
B.②地形区是该国重要的石油产区
C.③地形区的主要河流属大西洋水系
D.④山脉是阿尔卑斯山脉
3、单选题 读下面的等值线图,其中a > b > c ,回答各题.
1.若上图为等温线图,甲处为陆地,乙处为海洋,下列选项正确的是:2.下列说法正确的是:
A.1月,南半球
B.1月,北半球
C.7月,北半球
D.7月,南半球
E.若为等高线图,②处可能发育有河流
F.若为等压线图,①可能形成锋面
G.若为海洋等温线图,甲处水温高于乙处
H.若为等震线,乙处震级比甲小
4、单选题 下图是等高线图,图中甲地河流水位一般在312-318米之间,据图回答下列各题。
【小题1】图中河流在图示区域的总落差可能是( )
A.300米
B.382米
C.500米
D.418米
【小题2】图示各点中,最适应建野外宿营地的是( )
A.①
B.②
C.③
D.④
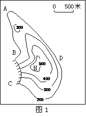
5、单选题 图1为某山区等高线地形图(单位:米),已知该地多岩崩和泥石流等地质灾害,读图回答问题。
1.图中最易发生泥石流灾害的是:2.游客小明随队在该山区旅游时不慎迷失方向,大队人马在山顶H处等候,当小明位于A、B、C、D四点中的何点时,才可能被大队人马直接观测到:3.若将该图比例尺放大一倍,则新图的:
A.A地
B.B地
C.C地
D.D地
E.A点
F.B点
G.C点
H.D点
I.比例尺为1:200000
G.图幅面积为原图的2倍
1厘米代表实际距离为原图的二分之一
表示的范围扩大一倍