时间:2020-01-16 07:02:42
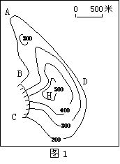
1、单选题 图1为某山区等高线地形图(单位:米),已知该地多岩崩和泥石流等地质灾害,读图回答问题。
【小题1】图中最易发生泥石流灾害的是:
A.A地
B.B地
C.C地
D.D地
【小题2】游客小明随队在该山区旅游时不慎迷失方向,大队人马在山顶H处等候,当小明位于A、B、C、D四点中的何点时,才可能被大队人马直接观测到:
A.A点 B.B点 C.C点 D.D点
【小题3】若将该图比例尺放大一倍,则新图的:
A.比例尺为1:200000
B.图幅面积为原图的2倍
C.1厘米代表实际距离为原图的二分之一
D.表示的范围扩大一倍
2、单选题 下图为某地区等高线图,据此回答下列各题。
小题1:有关图中A、B、C、D四点海拔高度的比较,肯定正确的是
A.HA>HB? B.HC>HD? C.HB>HA? D.HD>HC
小题2:图中河流的主汛期是
A.春季
B.夏季
C.秋季
D.冬季
小题3:该区域是世界重要的商品小麦产区,产品出口自世界各地,其农业生产导致的主要环境问题是
A.荒漠化
B.盐碱化
C.石漠化
D.水土流失
3、综合题 如图为我国某地等高线图,表二是该地气候资料。读图、表回答下列问题。
表二
| 月份 | 1 | 2 | 3 | 4 | 5 | 6 | 7 | 8 | 9 | 10 | 11 | 12 |
| 气温(℃) | 6.5 | 9.0 | 13.0 | 18.0 | 22.0 | 25.0 | 27.5 | 27.5 | 23.0 | 18.0 | 13.5 | 8.0 |
| 降水量 (mm) | 16 | 17 | 31 | 74 | 118 | 148 | 177 | 139 | 141 | 84 | 39 | 18 |
4、单选题 读我国南方某地等高线地形图,分析回答1~2题。
1.该地区的主要地形类型为
[? ]
A.山地
B.丘陵
C.低缓高原
D.平原?
2.如陡崖M在甲村正南方,则可知乙村旁的河流大致流向是
[? ]
A.由西北向东南
B.由西向东
C.由东南向西北
D.由东向西
5、单选题 该图为某日某地区示意图。据图回答问题。
1.下列关于该图的说法,正确的是
①该地区位于北半球
②该地区位于南半球
③图中河流流向东南方向
④该地区正午太阳高度在一年中都小于900?
⑤图中地势东北高西南低2.该地区所属的气候类型和季节最有可能是
A.①②③
B.①③⑤
C.③④⑤
D.②③④
E.亚热带季风性湿润气候冬季
F.温带季风气候夏季
G.热带草原气候冬季
H.温带大陆性气候夏季