时间:2020-01-08 13:01:38
1、单选题 图3为“影响工业区位的劳动力因素、科技因素和其它因素的三角坐标图”。回答13、14题。
小题1:序号①代表的工业企业可能是?(?)
A.电子装配
B.石油加工
C.钢铁冶炼
D.蔗糖生产
小题2: ②类工业部门为主形成的工业地域可能是(?)
A.鞍山钢铁基地
B.珠江三角洲工业基地
C.德国鲁尔工业区
D.美国“硅谷”
参考答案:
小题1:A
小题1:D
本题解析:
小题1:三轴坐标的读图需要注意读图方法,应以每条横坐标的原点位置确定应用的纵坐标,以与纵坐标平行的原则读数即可,据此①代表的工业其劳动力因素占60%以上,故判断为劳动力密集型工业,只有电子装配工业符合。
小题2:结合上题分析,②工业的科技比重最高,故判断为高科技工业区,美国硅谷为世界著名的高新技术工业区。
点评:本题难度一般,准确的读图方法是解题的关键,并能掌握主要工业部分的主导区位影响和世界主要工业区的基本概况等内容。
本题难度:一般
2、单选题 读某虚拟岛屿图,岛上有甲、乙、丙、丁四个地点可以兴建渔港或渔产品加工厂。据此完成问题。
小题1:考虑“港阔水深”与“接近大陆架”因素,最适合建渔港的是
A.甲
B.乙
C.丙
D.丁
小题2:在渔港附近常有鱼产品加工厂,其考虑的工业区位因素主要是
A.交通
B.市场
C.原料
D.劳动力
参考答案:
小题1:C
小题2:C
本题解析:本题考查区域的综合分析。
小题1:注意题目主干:渔港、要求“港阔”、“水深”、“接近大陆架”---即渔业资源丰富。结合图分析:大陆架面积较大的只有甲丙;优良的港湾只有丙丁;水深最好是丁,但是其它三地都一样,区别不大。渔港的停泊水深应该不可能如集装箱这些大型港口要求那么深。综合分析应该选丙地最佳。
小题2:渔港附近建鱼产品加工厂,属于靠近原料地附近,属于原料指向型工业。
本题难度:一般
3、单选题 网易财经2013年6月10日讯:汽车工业协会今天下午发布2012年我国汽车主要数据,其中全年销量为2500万辆,继续稳居全球第一宝座。结合下图,完成题。

小题1:近年来日本、韩国以及欧美的汽车制造企业,纷纷到我国兴办汽车厂,其主要原因是(? )
A.技术水平高
B.原料丰富
C.地租廉价
D.市场广阔
小题2:目前,汽车的全球化生产已经形成,跨国公司把汽车组装厂设置在中国的主要原因是(? )
A.促进中国经济发展
B.转移生产过程中的污染
C.降低生产成本
D.中国土地资源丰富,利于建厂
小题3:浦东开发以来,跨国公司纷纷把其研发中心与地区总部一起迁入上海,其主要原因是(? )
A.上海地价较低
B.上海经济增长快,投资环境日益改善
C.设立营销网络
D.实现生产与开发一体化,缩短新产品生产周期
参考答案:
小题1:D
小题2:C
小题3:D
本题解析:
小题1:影响日本、韩国、以及欧美的汽车制造企业在中国兴办汽车厂的主要因素是中国拥有广阔的汽车消费市场。所以本题选择D选项。
小题2:跨国公司把汽车组装厂设置在中国的主要原因是将在中国生产的汽车就近销售给中国市场,降低生产成本。
小题3:跨国公司纷纷把其研发中心与地区总部迁到上海,主要影响因素是市场,以便于跨国公司及时、准确的获得中国市场动态,实现研发与生产的一体化,及时抢占市场。
点评:本题难度较小,主要是通过跨国公司汽车产业生产布局来考查工业布局的主导因素。本题解题的关键是掌握影响工业布局的主导区位因素,并能结合实例分析。影响工业区位的因素有:土地、原料、动力、水源、交通运输、劳动力、市场和政府政策等。
本题难度:一般
4、单选题 下图是工业区位选择模式图,其中线段长短表示影响程度的大小。下列选项中分别与四图相符的是(? )
A.印刷、制伞、微电子、罐头
B.罐头、制伞、印刷、微电子
C.罐头、微电子、制伞、印刷
D.制伞、印刷、微电子、罐头
参考答案:C
本题解析:甲图中原料所占比例最大,属于原料指向型工业;乙图中技术所占比例最大,属于技术指向型工业;丙图中劳动力所占比例最大,属于劳动力指向型工业;丁图中市场所占比例最大,属于市场指向型工业。印刷属于市场指向型工业;制伞属于劳动力指向型工业;微电子属于技术指向型工业;罐头属于原料指向型工业。正确答案选C。
点评:本题难度较小。要求学生熟练掌握工业区位选择。
经济效益:从经济利益看工厂应选择在具有明显区位优势的地方,以花费最低的生产成本获得最高利润。
类型名称
典型工业部门
优势发展地区
原料指向型工业
制糖业、水产品加工业、水果加工业
所需工业原料丰富的地区
市场指向型工业
瓶装饮料业、家具制造业、印刷业
接近产品消费市场的地区
动力指向型工业
有色金属冶炼工业、化学工业
能源供应充足的地区
廉价劳动力指向型工业
普通服装、电子装配、包带、制伞、制鞋工业
拥有大量廉价劳动力的地区
技术指向型工业
集成电路、航天、航空、精密仪表
高等教育和科技发达的地区。
本题难度:一般
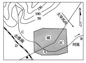
5、综合题 如下图,某地区拟在A、B、C、D四地建火力发电厂、自来水厂、印染厂、服装厂,并在城郊建立副食品基地及进行绿化建设,从经济效益、环境因素考虑,回答下列问题。
(1) 自来水厂建在________处,理由是___________。
(2) 火力发电厂建在________处,理由是_____________。
(3) 印染厂建在________处,理由是_________________。
(4) 服装厂建在________处,理由是_______________。
(5) 副食品基地应建在城市的________方位,理由是______________。
(6) 绿化带布置在城市的________方位,理由是____________。
参考答案:
(1)C 河流上游,水质较好,水源清洁,无污染
(2)D 位于与主导风向垂直方向的远郊,靠近铁路和煤田,便于原料运输
(3)B 位于河流下游
(4)A 地处城区,有大量劳动力和广阔市场
(5)东北 无大气污染,土地多,便于灌溉,既接近城区,也接近农业区,又便于运输
(6)西南 与重工业分隔,在铁路与城区之间,减轻污染,减弱噪声
本题解析:第(1)题自来水厂建在河流上游,因水质较好,水源清洁,无污染。第(2)题火力发电厂对空气污染严重,所以应建在与主导风向垂直方向的远郊,靠近铁路和煤田。第(3)题印染厂对水资源污染严重,应建在河流下游,减少对城区的污染。第(4)题服装厂无污染,应建在城区,有大量劳动力和广阔市场。第(5)题副食品基地需要大面积的土地,无大气污染,便于灌溉,既接近城区,又便于运输,所以应建在城区的东北方。第(6)题绿化带应与重工业分隔,减轻污染,所以应位于城区的西南方,并且又位于铁路与城区之间。
点评:本题结合图示考查城区工厂、副食品基地及绿化带的布局,试题难度中等,解题关键是掌握工业布局原则,影响副食品基地建设的条件和绿化带的主要作用。
本题难度:一般