时间:2019-12-22 06:01:37
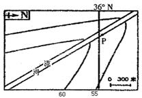
1、单选题 读我国东部地区某河流两侧的潜水位等位线示意图(单位:米),P为河岸的一处观测点,读图完成:
1.关于图中河流的叙述,正确的是
A.从东北流向西南
B.可能位于内蒙古高原
C.可能会出现凌汛现象
D.一年有两个汛期
2.此时,该河流的剖面可能为
参考答案:
小题1:C
小题2:B
本题解析:
小题1:潜水位随着地势的高低起伏而起伏,图中东南方向潜水位高,地势也高,河流从东南流向西北;从海拔高度分析,潜水位在60米左右,不可能是高原地区;由于河流位于我国温带地区,且从南向北流动,可能有凌汛现象;我国只有东北地区的河流才有两个汛期,该地区位于暖温带,不在东北地区。
小题2:从等潜水位线弯曲可以分析出,河流沿线的地下水位高于河流两侧,说明河流处于汛期,故A、B可能对,从河流流向分析,P位于河流右岸,侵蚀厉害,河床坡度陡,故B对。
本题难度:简单
2、综合题 读图“我国某地区年降水量分布图”,回答下列问题。(5分)
(1)图中等降水量线数值递变的趋势,可以反映出我国年降水量的空间分布具有__________________________________________ 的分布规律。甲地的降水量__________(大于或小于)400 mm。(2分)
(2)关于图中河流在A段水文特征的叙述,正确的是__________(选择填空)。(1分)
①泥沙含量大 ②水流湍急 ③有结冰期 ④有凌讯现象 ⑤水位季节变化小
A.①③
B.②④
C.②③
D.④⑤
(3)分别写出乙、丙两地的地形区名称和所经过的铁路线名称。(2分)
参考答案:
(1)从东南向西北递减(1分)?大于?(1分)(2)C?(1分)(3)乙地:柴达木盆地—青藏铁路;(1分)丙地:河西走廊—兰新铁路。(1分)
本题解析:略
本题难度:简单
3、综合题 读局部海陆形势和气温分布以及甲地降水年内分配图,回答:(5分)
(1)图中等温线表示的是_____(1月或7月)的气温分布状况。此时,图中海洋气温____(高或低)于陆地。
(2)甲地气候的成因是_______________________。
(3)此季节衡水的气候特征是________,开普敦的气候特征是___________________。
参考答案:(1)? 1月?高?
(2) 受副热带高压带和西风交替控制?
(3)寒冷干燥?炎热干燥
本题解析:略
本题难度:简单
4、单选题 1.下列说法正确的是2.图中四地中,最易受到泥石流威胁的是3.该地区泥石流灾害多发的自然原因有4.该地区自然灾害的关联性可表现为5.如果你和同学利用暑假到图示山区野营游玩,保障安全的做法是
A.①②两个居民点的高差约为300米
B.①处河流的流向为东北向西南
C.③处的地形适合建水坝
D.④处地形为鞍部
E.①
F.②
G.③
H.④
I.地势低洼多河流
G.黑土疏松多沟壑
降水持续多暴雨
山高谷深多植被
暴雨——泥石流——堰塞湖——洪水
地震——暴雨——泥石流——洪水
地震——崩塌、滑坡——泥石流
洪水——滑坡、泥石流——地震
沿河谷向山上行进
遇雷雨在大树下躲避
选择河道弯曲或汇合处露营
选择地势高、较平坦处露营
参考答案:1. B
2. A
3. C
4. A
5. D
本题解析:本题考查等高线地形图的判读和应用。
1.A项①②两个居民点之间只相差1条等高线,故高差应在200米以内;错误;B项结合指向标和等高线分布,①处河流的流向为东北向西南流,正确。C项③处为盆地,不适宜建水坝;错误;D项④处地形为山顶。
2.泥石流多发于较陡的山谷地区,故①处最易形成。
3.泥石流多发的地形条件为地形坡度较大;故A错误;该地区位于南方,自然土壤为红壤,粘重,故B错误;植被多则利于防止地质灾害的发生,故D项错误;该地区位于南方,受季风气候影响,降水集中多暴雨,是泥石流形成的气候条件,正确。
4.没有信息反映该地区多地震,故BCD项错误;由于该地区位于季风区,故降水集中,多暴雨,且该地区位于山区,地形坡度大;故容易引发泥石流,泥石流可能堵塞河道,而形成堰塞湖,堰塞湖积水过多,一旦决堤就可能形成山洪。
5.A项沿河谷向山上行进,若遇强降雨,可能遇洪水和泥石流;错误;B项雷雨时在大树下躲避可能遭雷击;错误;C项在河道弯曲或汇合处,若遇强降雨,可能遭洪水和泥石流威胁;错误。故选D项。
本题难度:简单
5、综合题 图中曲线为海洋等年降水量线,虚线为晨昏线。读图回答
下列问题。(10分)
(1)若图示情景发生在2009年哥本哈根气候会议时期(12月7日─12月18日)。此时,苏伊士运河是?(白昼或黑夜)。会
议期间,巴拿马运河区的气候特征是?。(2分)
(2)从图示等值线分析,甲海域年降水量较?(大/小),主要原因是?。(3分)
(3)甲海域是世界著名的渔场之一,其形成原因主要是?。
当厄尔尼诺现象发生时,该海域鱼类大量死亡,试分析原因。(3分)
(4)若当a角为一年中最大时,下列叙述可信的是?(多项选择)。(2分)
A.昆仑站考察最佳季节? B.
北冰洋沿岸驯鹿活动
B.南亚盛行东南风? D.华北地区频受沙尘暴袭击
E.天山雪线升到最
高
参考答案:(1)白昼(1分)?高温多雨(1分)
(2)小(1分)?沿岸寒流和离岸信风的影响(2分)
(3)近海区盛行上升流(1分)?厄尔尼诺现象发生时,该海域水温异常升高(1分),海洋微生物、浮游动植物等大量死亡,鱼类因缺乏饵料及水温的变化也大量死亡。(1分)
(4)AB(2分)
本题解析:略
本题难度:一般