时间:2019-12-22 05:24:45
1、单选题 读下表,回答:
| 地区 | 国内生产总值(亿元) | 三次产业比重(%) | 人均国内生产总值(元) | ||
| 第一产业 | 第二产业 | 第三产业 | |||
| ① | 5408.8 | 1.6 | 47.4 | 51.0 | 40627 |
| ② | 11674.4 | 8.8 | 50.2 | 41.0 | 14908 |
| ③ | 4340.9 | 19.5 | 40.0 | 40.5 | 6565 |
| ④ | 1180.0 | 23.8 | 40.2 | 36.0 | 3140 |
2、综合题 阅读图文资料,完成下列各题。
材料一:我国某地区略图
材料二:两城市气候资料图
材料三:由河南省三门峡市、山西省运城市、临汾市和陕西省渭南市,共同构成了晋陕豫三省边缘“黄河金三角区域”(图2阴影区域)。区域内煤炭开采生产能力约1亿吨,占全国的4%;氧化铝产能610万吨,约占全国的35%,是全国最大的炼铝业基地。
材料四:铝工业的能源消耗主要集中在矿山、冶炼和加工三大领域,其中尤以电解铝能耗为最。1吨铝锭综合交流电耗为14622度,相当于3.2吨标准煤;炼1吨铝综合能耗为9.6吨标准煤。因此,按9.6吨标准煤/吨铝计算,排放二氧化碳21.8吨、碳5.8吨。
(1)石家庄与太原两城市纬度相仿、距离相邻,但气候差异比较大。两城市中全年各月气温偏低的是________,主要原因是______________________________________________________。
(2)“黄河金三角区域”苹果种植面积近700万亩,年产苹果700余万吨,是世界苹果主产区中唯一符合苹果七项生态指标的最佳优生区。简述该区域苹果生产的自然区位条件。
________________________________________________________________________________
(3)“黄河金三角区域”是我国重要的煤炭生产基地,但由于交通运输的制约,限制了煤炭经济的发展。请提出三条既能减轻交通运输压力又能将煤炭资源优势转变为经济发展优势的具体措施。
________________________________________________________________________________
(4)该区域大力发展炼铝工业面临的主要环境问题是__________,会加剧全球的_______________效应。试从资源、能源和交通运输方面简析“黄河金三角区域”成为全国最大的炼铝业基地的区位条件。
________________________________________________________________________________
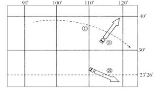
3、单选题 读资源跨区域调配路线图。完成下列问题。
1.图中①③资源调出区面临的主要环境问题分别是
①荒漠化 ②水土流失 ③土壤盐碱化 ④空气污染2.对上述跨区域资源调配的说法,正确的是
①改善了调出区和调入区的能源消费结构
②提高了调出区的资源保护意识
③资源调配有利于调出区和调入区的生态、社会和经济的可持续发展
④跨区域资源调配的前提是市场需求
A.①②
B.②④
C.②③
D.③④
E.①②
F.②③
G.①③
H.③④
4、单选题 我国东北与长三角地区粮食生产状况差异明显。
| ? | 黑龙江 | 吉林 | 辽宁 | 上海 | 江苏 | 浙江 | 全国 |
| 人均耕地面积(hm2/人) | 0.31 | 0.21 | 0.10 | 0.02 | 0.07 | 0.05 | 0.10 |
| 单位面积谷物产量(kg/hm2) | 4 916 | 5 872 | 5 870 | 7 044 | 6 207 | 6 175 | 4 885 |
5、综合题 阅读下列材料,回答下列问题。
材料一:
? 2007年3月11日,北京市社科院、上海社科院、广东省社科院、天津市社科院等机构联合发布2007年区域蓝皮书——《2006~2007年:中国区域经济发展报告》,报告详细分析了长三角、珠三角、京津冀区域经济的发展趋势。
材料二:长三角、珠三角、京津冀区域示意图 
材料三:
? 滨海新区位于天津东部临海,面积2270km2,拥有153千米的海岸线。它将聚各项优势,立足天津,辐射“三北”,面向东北亚,努力打造成现代化加工制造基地和国际物流中心,成为天津现代化国际港口大都市的标志区和生态宜居海滨城市。“湛江钢铁”是广东实现重化工业产业升级的重要一环。它选址在湛江东海岛,东海岛面积是286km2,该处拥有建设国内最好的深水港条件,可同时通航两对30万吨级以上的货轮和50万吨级的油轮。
材料四:天津滨海新区和湛江东海岛示意图 
(1)根据材料一、二和所学知识,完成下列空格。将下列城市化的模式,填在横线上:
? 京津冀_______;长三角_______;珠三角_______。
? ①小商品经营→个体私营企业→工业化→城市化
? ②对外开放→外资企业建立→工业化→城市化
? ③大城市扩散→乡镇企业发展→工业化→城市化
? ④矿产资源开发→国有大中型企业建立→工业化→城市化
(2)长三角区域经济今后发展应立足自身条件,以上海建设大都市为龙头,努力发展成为世界第六大城
? 市群,试分析长三角成为世界第六大城市群的区位条件。
? _________________________________________________________________________________________
? _________________________________________________________________________________________
? _________________________________________________________________________________________
(3)“湛江钢铁”属于_________型的工业布局,它所需要的铁矿石可能来自_____________________。
(4)天津滨海新区努力打造成现代化加工制造基地和国际物流中心,而湛江东海岛却打造成广东的钢铁
? 基地,试分析影响两区域发展方向的主要因素。
? _________________________________________________________________________________________
? _________________________________________________________________________________________
? _________________________________________________________________________________________
(5)乙区域与甲区域相比工业发展的主要劣势是什么?
? _________________________________________________________________________________________
? _________________________________________________________________________________________